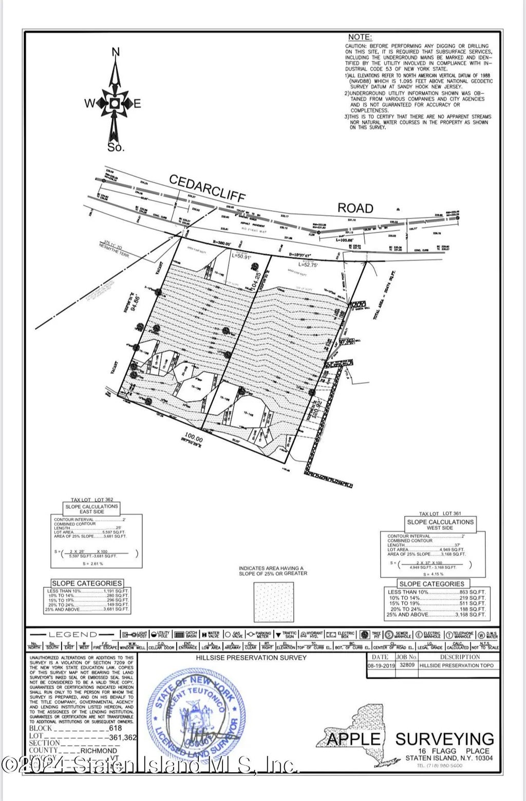
About 48 Cedarcliff Road
4949 square feet of raw land (must be sold with 40 Cedarcliff Road MLS# 2404665) for a total of 10,546 sq feet.. Lot is located on Cedarcliff Road, a quiet residential street with a beautiful view of the Verrazano Bridge, surrounded by million dollar homes. R-2 Special Hillside district. Potential to build a single family home (5,300 sq feet plus basement)or two single family homes (2500sq feet, plus basement). No representations, please consult your architect.
Features of 48 Cedarcliff Road
| MLS® # | 2404666 |
|---|---|
| Price | $149,500 |
| Acres | 0.11 |
| Type | Land |
| Sub-Type | Residential |
| Status | Closed |
Community Information
| Address | 48 Cedarcliff Road |
|---|---|
| Area | Grymes Hill |
| City | Staten Island |
| County | Richmond |
| State | NY |
| Zip Code | 10301 |
Amenities
| Has Pool | No |
|---|
Interior
| Fireplace | No |
|---|
Additional Information
| Date Listed | August 15th, 2024 |
|---|---|
| Days on Market | 303 |
| Zoning | R-2 |
| Foreclosure | No |
| Short Sale | No |
| RE / Bank Owned | No |
Listing Details
| Office | Truhomes Realty Group |
|---|
